Bauplatz für 1-2 Familienhaus mit tollem Weitblick in ruhiger Ortsrandlage von Aichtal-Grötzingen.
Objektart
Adresse
Objektdaten
Informationen
Details
Sonniges Baugrundstück in Aichtal - ca. 560 m² für Ihr Ein- oder Zweifamilienhaus mit super Weitblick
In ruhiger zweiter Reihe, am Ende einer Anliegerstraße, liegt dieses attraktive Baugrundstück in gewachsener Wohnlage von Aichtal. Der freie Blick über Wiesen und Felder schafft eine besondere Wohnqualität - sonnig, ruhig und mit dauerhaftem Grünbezug. Gleichzeitig befinden Sie sich nicht in einem anonymen Neubaugebiet, sondern in einer bestehenden Nachbarschaft mit Struktur und gewachsenem Umfeld.
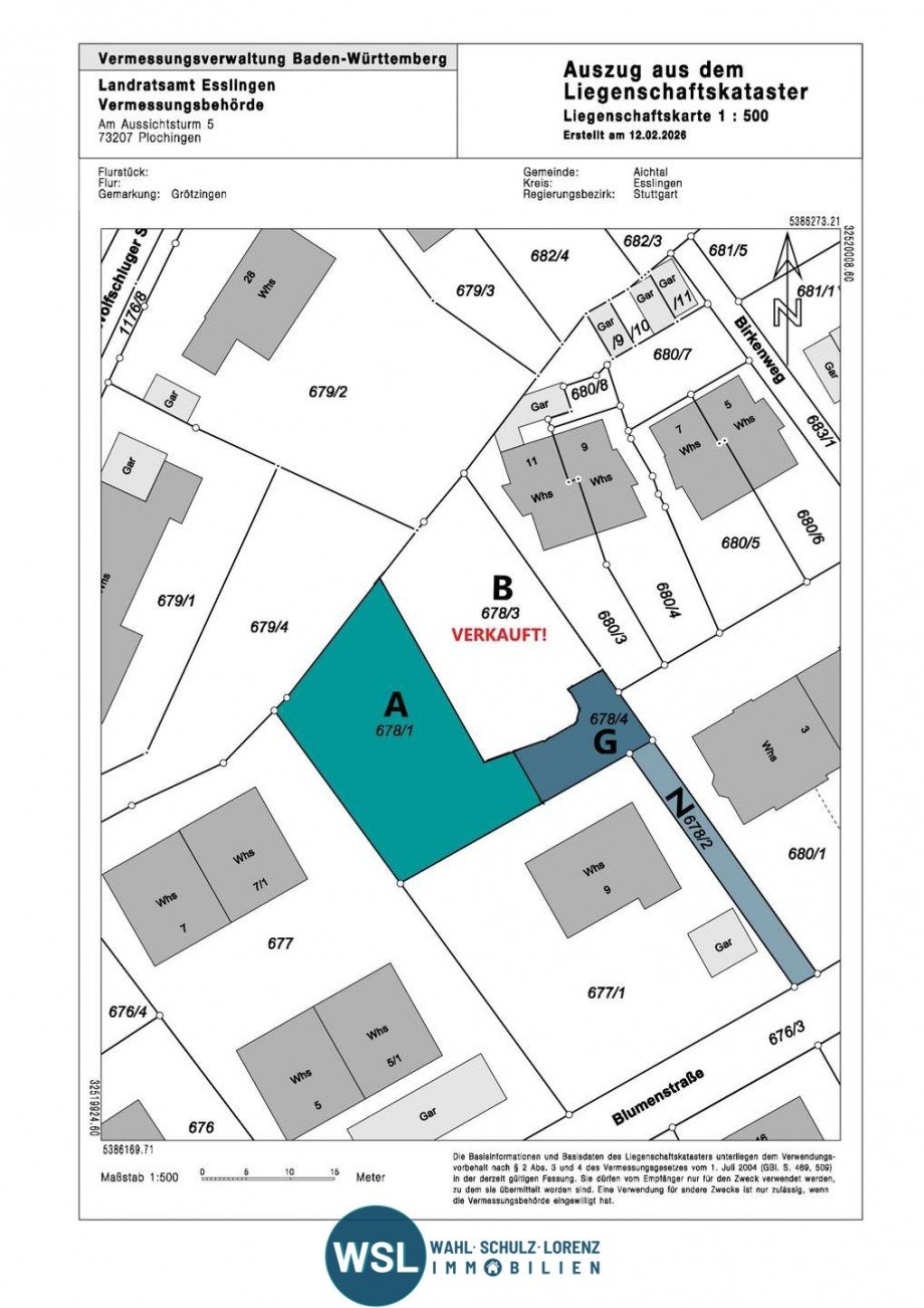
Die Gesamtfläche beträgt ca. 560 m² und setzt sich aus dem eigentlichen Bauplatz mit ca. 484 m² sowie anteiligen Hofflächen und Zufahrtsflächen zusammen. Die gemeinsame Erschließung ist gesichert und im Angebot enthalten. Das Grundstück ist vermessen, vollständig erschlossen und erschließungsbeitragsfrei - es fallen lediglich die üblichen Hausanschlusskosten an.
Planungsrechtlich liegt das Grundstück im Geltungsbereich des qualifizierten Bebauungsplans "Siechenwiesen" der Stadt Aichtal. Es handelt sich um ein reines Wohngebiet in klassischer Baulückenlage - kein Neubaugebiet und vor allem ohne Bauzwang. Sie entscheiden selbst, wann und wie Sie bauen.
Zulässig ist insbesondere die Errichtung eines großzügigen Ein- oder Zweifamilienhauses. Vorgesehen sind zwei Vollgeschosse zuzüglich Dachgeschoss mit Satteldach (25-30 Grad). Mit einer GRZ von 0,4 und einer GFZ von 0,8 bietet das Grundstück eine solide Ausnutzbarkeit und damit realistischen Spielraum für moderne Wohnkonzepte mit ca. 180-220 m² Wohnfläche - selbstverständlich abhängig von Ihrer konkreten Planung.
Gerade die Möglichkeit eines größeren Ein- oder Zweifamilienhauses eröffnet vielseitige Perspektiven: klassisches Familienwohnen mit viel Platz, Mehrgenerationenlösung oder Teilvermietung zur Unterstützung der Finanzierung - alles innerhalb der klar definierten baurechtlichen Rahmenbedingungen.
Die Grundstücksausrichtung sowie die offene Süd-/Westlage ermöglichen eine zeitgemäße Neubauplanung mit effizienter Wärmepumpentechnik und sinnvoller Photovoltaik-Nutzung. Die Topografie ist gut nutzbar und bietet gleichzeitig Privatsphäre durch die zweite Reihe.
Die Lage überzeugt durch ihre Balance aus Natur und Alltagstauglichkeit. Direkt angrenzende Grünflächen und Felder sorgen für Weitblick und Ruhe, während Einkaufsmöglichkeiten, Schulen und Verkehrsanbindung gut erreichbar bleiben. Genau diese Kombination macht Wohnlagen langfristig stabil und wertbeständig.
Unser Fazit:
Ein Baugrundstück mit klarer Planungsgrundlage, flexiblen Gestaltungsmöglichkeiten und echter Lagequalität.
Kein Spekulationsobjekt, sondern ein Platz mit Substanz - für Familien mit Weitblick oder Eigennutzer, die bewusst neu bauen möchten.
Alles auf einen Blick - kurz zusammengefasst.
Das Grundstück liegt im Geltungsbereich des qualifizierten Bebauungsplans "Siechenwiesen", der Stadt Aichtal. Diesen und weitere Unterlagen können Sie unserem Online-Exposé entnehmen, welches wir Ihnen auf Anfrage gerne zusenden.
Die Grundstücksgröße beträgt insg. ca. 560 m²:
- Bauplatz ca. 484 m²
- anteilige Hoffläche mit ca. 52 m²
- anteilige Zufahrtsfläche mit ca. 24 m²
(Bau-)gebiet:
- Reines Wohngebiet (Baulücke), kein Neubaugebiet und kein "Bauzwang"
- GRZ: 0,4 (Grundflächenzahl) / GFZ: 0,8 (Geschossflächenzahl)
Gebäudetypen: 1-2 Familienhaus, KEINE Doppelhausbebauung
Gebäudehöhen: 2 Vollgeschosse (HG + EG) + Dachgeschoss (DG)
Dacharten: Satteldach mit 25-30 Grad, Dachaufbauten sind ggf. zulässig
Kfz-Stellplätze: Garagen, Carports ggf. außerhalb des Baufensters möglich
Erschließung:
- voll erschlossen und vermessen
- Hausanschlusskosten bauseits
Die Stadt Aichtal befindet sich in einer malerischen Lage am Fuße der Schwäbischen Alb und am Rand des Schönbuchs. Sie ist weithin bekannt für ihre erstklassige Infrastruktur im Großraum Aichtal-Nürtingen sowie ihr lebhaftes Vereinsleben, das auch für Neubürger zahlreiche Anschlussmöglichkeiten bietet.
Egal ob es um Bildungseinrichtungen wie Kindergärten, Grund- und Hauptschulen geht (sämtliche weiterführende Schulen bis hin zum Gymnasium und zur Fachhochschule in Nürtingen sind bequem mit öffentlichen Verkehrsmitteln erreichbar) oder um vielfältige Einkaufsmöglichkeiten, die sowohl den täglichen Bedarf als auch speziellere Wünsche abdecken - alles ist entweder direkt vor Ort oder in den umliegenden Gemeinden leicht zugänglich.
Für Naturliebhaber bieten sich entlang des Flüsschens "Aich" ausgedehnte Spaziergänge in idyllischer Umgebung an. Im Zentrum der Stadt befindet sich das Rathaus, das als Sitz der Verwaltung dient.
Dank der günstigen Lage im Dienstleistungs- und Wirtschaftszentrum der Region Stuttgart profitiert das Aichtal von ausgezeichneten Verkehrsanbindungen und einer erstklassigen Infrastruktur. Dadurch ist die Stadt ein äußerst gefragter Standort.
Weitere Informationen finden Sie auf der offiziellen Website der Stadt: www.aichtal.de
Der Verkauf dieser Immobilie erfolgt ausschließlich über die WSL - Wahl, Schulz, Lorenz - Immobilien GbR.
Ein ausführliches Exposé mit weiteren Angaben, zusätzlichen Bildern und ergänzenden Informationen senden wir Ihnen gerne auf Anfrage zu. Sollten Sie das Exposé bereits angefordert haben, jedoch im E-Maileingang nicht finden, prüfen Sie bitte auch Ihren SPAM-Ordner.
Im Vorfeld einer gemeinsamen Besichtigung können Sie sich jederzeit selbst einen ersten Eindruck verschaffen - das Baugrundstück ist frei zugänglich. Wir bitten Sie jedoch höflich um entsprechende Rücksichtnahme und die Privatsphäre der Nachbarn nicht zu stören.
Bei weiterem Interesse vereinbaren wir natürlich gerne einen gemeinsamen Beratungs-, Besichtigungstermin vor Ort.
Bitte beachten Sie, dass wir im Erfolgsfall für den Nachweis und / oder die Vermittlung dieses Objekts eine Käuferprovision in Höhe von 3,57 % inkl. 19 % gesetzlicher MwSt. (berechnet aus dem notariellen Kaufpreis) erhalten. Zudem entstehen folgende Erwerbsnebenkosten für den Käufer: Grunderwerbsteuer (ca. 5,00 %) und Notar- sowie Grundbuchamtsgebühren (ca. 2,00 %).
Gerne sind wir auch bei Ihrer Kaufpreisfinanzierung behilflich. Wir arbeiten mit bankenunabhängigen und versierten Finanzierungsberatern zusammen und können jederzeit einen Kontakt herstellen. Bei Interesse sprechen Sie uns einfach darauf an. Ein Vergleich lohnt sich immer!
Sie haben Fragen zu diesem Immobilienangebot und möchten einen Besichtigungstermin abstimmen?
Überzeugen Sie sich selbst von den Vorzügen dieser Immobilie bei einer individuellen Besichtigung!
Ansprechpartner
Telefax: +49 7024 9824992
sebastian.schulz@wsl-immobilien.de
Sprechen Sie mich einfach an, ich freue mich auf Ihre Kontaktaufnahme!
Ich bin damit einverstanden, dass mir Karten von Google angezeigt werden. Es gelten die Datenschutzbedingungen von Google (https://policies.google.com/privacy).
Ich bin einverstanden